Flux e-Machine Toolbox : A propos

Introduction



A partir de la version 2019.1 Flux dispose d’un nouvel outil appelé Flux e-Machine Toolbox. Ce couplage est disponible en 2D, 3D et Skew pour l'application magnétique transitoire.

Le but de Flux e-Machine Toolbox est de caractériser le comportement de la machine dans la zone "Couple-Vitesse" et ainsi pouvoir exploiter les différentes grandeurs dans cette zone.

Les paramètres d'entrée tels que la tension de phase efficace maximale, le courant de phase efficace maximal et la vitesse maximale de la machine sont considérés.

Deux types de mode de commande sont disponibles : le couple maximal par volt (MPTV) et le couple maximal par ampère (MPTA).

Type de machine

Dans ces premières versions, seulement une machine est prise en compte par l'outil Flux e-Machine Toolbox. C'est la machine Synchrone à Aimant permanent en triphasé (à Rotor intérieur ou Rotor extérieur).

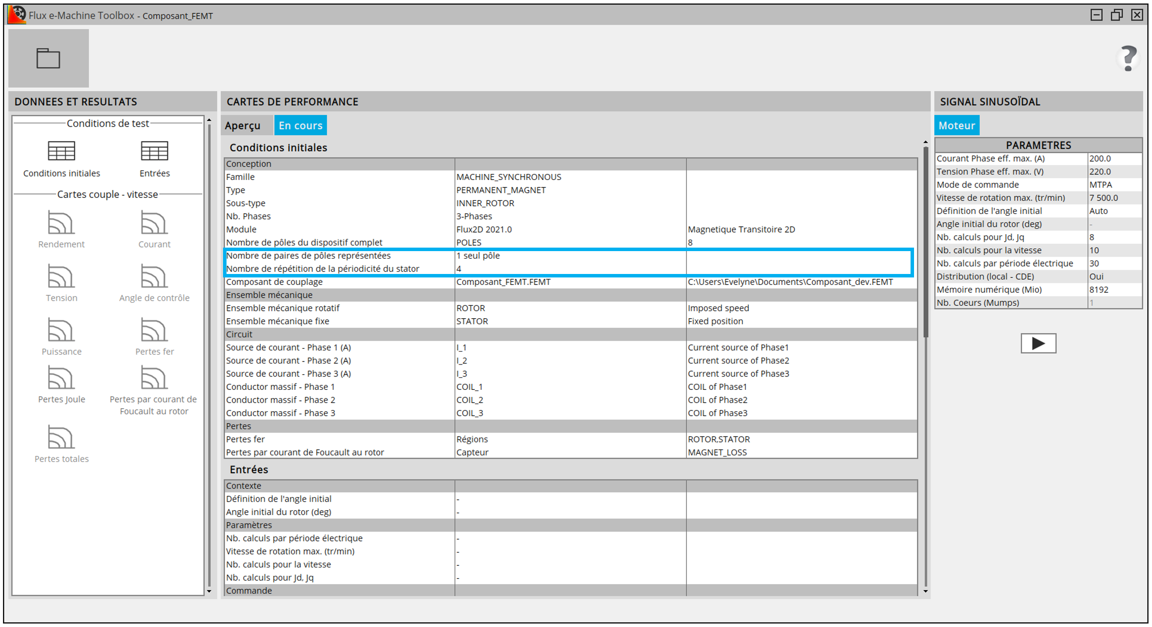
Depuis FeMT 2021, les designs où la section représentée dans Flux contient plusieurs pôles magnétiques sont supportées. Vous pouvez représenter tous les types de machines, et en particulier les machines avec bobinage à pas raccourci qui ont des périodicités différentes dans l'enroulement du stator et dans le rotor.

Dans Flux, lors de la génération du composant de couplage, il y a un nouveau champ : Nombre de répétition de la périodicité du stator (si différent du rotor)



Dans FeMT, dans la zone Conditions initiales, deux nouvelles informations sont affichées :
  • Nombre de paires de pôles représentées
  • Nombre de répétition de la périodicité du stator


Avertissement : Il y a une limitation en 3D et en Skew : A l'heure actuelle, il n'est pas possible de représenter une machine complète, il faut au moins une périodicité.
Remarque : Pour les versions de FeMT antérieures à 2021, il y avait une limitation : une seule section de pôle magnétique devait être représentée. Toutes les informations devaient être contenues dans la section d'un pôle.

De nouveaux types de machine seront implémentées dans les prochaines versions.

A propos des pertes

Différentes pertes sont calculées et exploitables :

  • Pertes Joule dans les bobinages statoriques : sur chaque conducteur bobiné
  • Pertes Rotor par courants de Foucault : sur des régions conducteur massif (aimant, fret, boite,…)
  • Pertes fer :
    • En 2D et 3D et en Skew depuis FeMT 2021 :
      • Seulement calculées sur régions magnétiques feuilletées non conductrices
      • Dans Flux il est fortement conseillé de choisir un matériau avec pertes, affecté à ces régions feuilletées (l'utilisateur a le choix entre le modèle LS ou le modèle Bertotti)
      • Si le modèle de pertes n'est pas défini dans le matériau, des coefficients de Bertotti par défaut seront appliqués

        (K1=151.88 ; K2=0.07 ; K3=1.19 ; A1=2 ; A2=2 ; A3=1.5)

      Remarque : Pour les versions de FeMT antérieures à 2021, pour les projets Skew :
      • Seulement calculées sur les régions magnétiques non conductrices, car les régions feuilletées n'existaient pas en Skew
      • des coefficients de Bertotti par défaut étaient appliqués après la fin de la résolution de Flux

        (K1=151.88 ; K2=0.07 ; K3=1.19 ; A1=2 ; A2=2 ; A3=1.5)

      Remarque : Concernant les composants de couplage Skew FeMT générés à partir de la version 2020.1 de Flux ou antérieure :

      FeMT 2021 ne supporte plus le calcul des pertes fer pour les anciens projets Skew sans régions feuilletées.

      Cependant, les anciens projets Skew peuvent être ouverts dans FeMT 2021 et les résultats des simulations précédentes calculés avec une ancienne version de FeMT peuvent être affichés. Mais, il n'est pas possible de démarrer une nouvelle simulation sur cet ancien projet.

      Afin d'effectuer une nouvelle simulation sur cet ancien projet, vous devrez ouvrir votre projet Skew avec Flux 2021 et régénérer un composant de couplage FeMT.

Mise en œuvre

Voici la procédure de mise en œuvre d'un couplage Flux e-Machine Toolbox:

Étape Logiciel Description
1 Flux Préparation du projet Flux
  • description standard : géométrie, maillage et physique
  • description spécifique : capteur de pertes Joule, paramètre du nombre de pôles, informations circuit
Note: Une procédure classique est d'utiliser FluxMotor pour pré-dimensionner la machine électrique et l'exporter dans un script python. Ensuite le script python est executé dans Flux pour obtenir un projet Flux 2D prêt pour générer le composant de couplage
2 Flux Génération du composant de couplage Flux e-Machine Toolbox
Note: Dans les options du composant de couplage à la génération, il est possible de choisir de passer directement à l'étape 5. A la suite de la génération du composant de couplage Flux e-Machine Toolbox est lancé (équivalent à étape 3) et le composant généré est directement ouvert (équivalent à l'étape 4)
3 Superviseur Flux Lancement de Flux e-Machine Toolbox à partir du Superviseur de Flux
4 e-Machine Toolbox Ouverture du composant de couplage Flux e-Machine Toolbox généré dans Flux
5 e-Machine Toolbox Choix des données d'entrées
6 e-Machine Toolbox Lancement de la simulation
  • La résolution de Flux est lancée en batch
  • Une fois la résolution faite, un script d'exploitation est exécuté pour construire les cartes de performance
7 e-Machine Toolbox Exploitation des résultats