Improvements in FeMT
In Flux 2021, some improvements have been made in the Flux tool Flux e-Machine Toolbox.
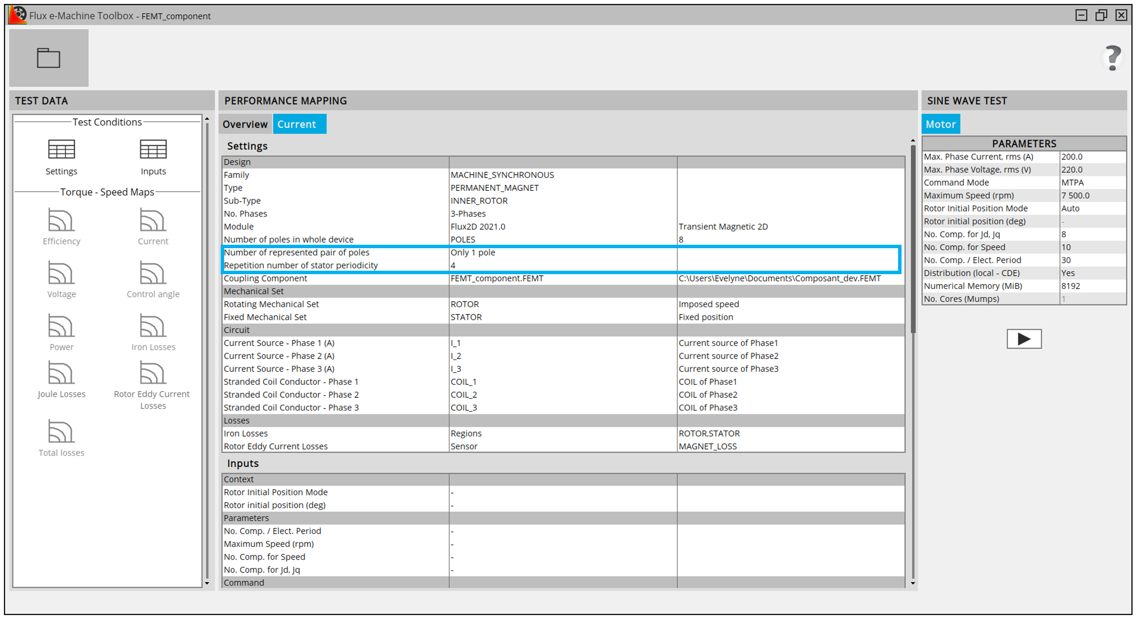
Flux projects with multiple magnetic poles represented
FeMT 2021 supports now designs where the section represented in Flux contains multiple magnetic poles.
With previous FeMT versions, there was a limitation: only one magnetic pole section had to be represented. All the information had to be contained in one pole pitch.
From now on, you can represent all types of machines, and in particular the fractional slot winding machines which have different periodicities in the stator winding and in the rotor.
In Flux, when generating the coupling component, there is a new field: Repetition number of the stator periodicity (if different of rotor)

- Number of represented pair of poles
- Repetition number of stator periodicity

Faster iron loss computation for Skew projects
For Skew projects, FeMT 2021 leverages the new laminated regions to compute iron losses faster. (This was already the case for 2D and 3D projects in previous FeMT versions).
In FeMT 2021, for Skew projects, the iron losses are now computed on non-conducting laminated magnetic regions only.
- It is mandatory to use non-conducting laminated magnetic regions for the stator and the rotor.
- It is recommended to define a material with losses model and to assign it to non-conducting laminated magnetic regions (stator and rotor), otherwise default parameter values will be used for the iron loss computation.
FeMT 2021 no longer supports computation of iron losses for older Skew projects with no laminated regions.
However, the old Skew projects can be opened in FeMT 2021 and results of previous simulations computed with older FeMT version can be displayed. But, it is not possible to start a new simulation on this old project.
In order to run a new simulation on this old project, you will have to open your Skew project with Flux 2021 and regenerate a FeMT coupling component.